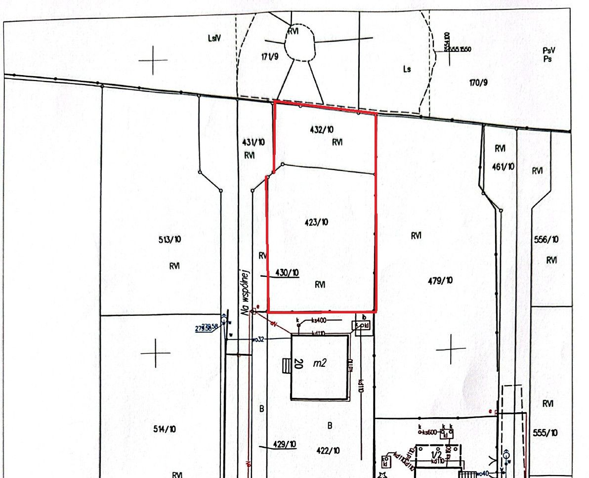
Orzesze Woszczyce, Na Wspólnej
140 000,00 PLN
Działka (Budowlana) na sprzedaż , 609 m2
229,89 PLN /m2
Powierzchnia
609 m2

Dane nieruchomości:

Numer oferty: 34964539476
Powierzchnia: 609 m2
Cena za m2: 229,89 PLN
Cena: 140 000,00 PLN

Opis nieruchomości:

Na skraju parku krajobrazowego, jedyna taka działka na końcu drogi pod lasem.
Wyobraź sobie cichy poranek, szum drzew, sarny pod oknem i las pełen grzybów.

Woszczyce ul. Na wspólnej - na końcu drogi za ostatnim domem tuż pod lasem.
Działka budowlana w kształcie prostokąta o pow. 609 m2 o przeznaczeniu w planie zabudowa mieszkaniowa jednorodzinna.
Media: woda, prąd, kanalizacja własna
Cena 140 000 zł
 

Skontaktuj się z agentem :
Biuro INVESTOR

Telefon : 22 622 70 22

biuro@investor.waw.pl


Lokalizacja: